Probably one of the scariest things ever for a dog owner is to see your pooch limping all of a sudden.
Now in most cases, it might just be due to an injury picked up while playing, but if you tend to notice the symptoms frequently and progressively worsening, you might be dealing with hip dysplasia.
So what is canine hip dysplasia, and why is it so worrisome? Hereâs everything you need to know about hip dysplasia in dogs.
What is hip dysplasia in dogs?

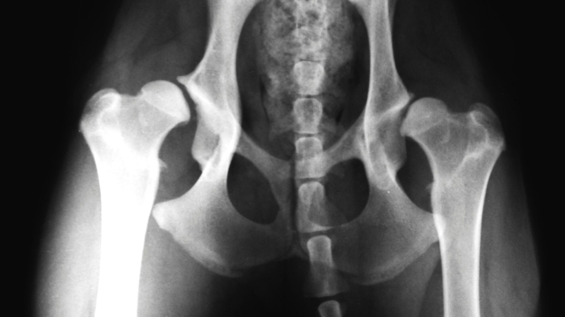
Canine hip dysplasia or hip dysplasia in dogs is a condition where that results in the loosening of a dogâs hip joint. It can occur during the growth stage in Puppies, and since it is commonly seen in certain large dog breeds, it is known to be a hereditary condition.
It leads to joint dysfunction, which causes limping and pain while walking or standing. In the long run, it may lead to arthritis, muscle atrophy or wasting and limited mobility if not treated adequately.

Similarly, hip dysplasia can also be due to trauma. It is very important to differentiate between hereditary and traumatic hip dysplasia, and a veterinary surgeon would be able to diagnose after a thorough orthopaedic evaluation.
If your pooch were to require surgery, most pet insurance companies would cover traumatic hip dysplasia and not hereditary hip dysplasia.
Which dog breeds are more prone to hip dysplasia?
The most common dog breeds that are more prone to hip dysplasia are:
- Labrador Retrievers
- Golden Retrievers
- St Bernards
- Great Danes and;
- German Shepherds
However, all large and giant breed dogs are susceptible to the condition and Should be seen monthly by their neighbourhood vet between 2 to 8 months of age. This critical development period is when the condition usually takes root.
While hip dysplasia in Golden Retrievers is a common occurrence, pups suffering from the condition itself can be also due to poor and unprofessional breeding practises.

Please be sure to get your puppies from a certified and registered breeder with all the necessary certificates from the Malaysian Kennel Association (MKA).
What are the first signs of hip dysplasia in dogs?
Quite often, the early symptoms of hip dysplasia in dogs can often go undetected.
Commonly, the condition is picked up by your vet much later in its progression when your pup is quite ill with the symptoms.
Be extra vigilant with your pup to identify these early signs and symptoms. Signs such as limping with no known trauma or injury should be a red flag. âBunny hoppingâ while running is another sign that often goes unchecked.
If you notice your pup having trouble climbing onto furniture or getting into your car, youâd need to make an appointment at your vet at the soonest. You might notice their shoulders (front leg muscles) larger than their hips. This compensatory change is due to them putting less weight on their hips to avoid pain.
Hip pain in dogs can be tricky to pick up. Canines can be quite intolerant to mild pain and discomfort, especially when youâre around. All they want to do is play and impress you. Theyâd tolerate decent amounts of pain for a short car ride with you.
Signs that appear later in the disease, if left untreated, include difficulty standing and abnormal sitting positions. Another late sign is cracking and popping sounds from the joints as your dog walks.
Is hip dysplasia in dogs curable?
This depends on the age at which the diagnosis is made. As with most conditions, early diagnosis is key. As mentioned above, monthly vet appointments during the developmental months are key.
If picked up early, long term effects of the disease like arthritis can be prevented. Most hip problems in dogs are managed with a combination of medication, physical therapy and occasionally surgery. This depends on the extent of joint damage and the stage at which it is diagnosed.
What are the treatment options for hip dysplasia in dogs?
It is vital that once a full orthopaedic evaluation is carried out and a diagnosis of hip dysplasia made, you have an honest and in-depth discussion with your trusted vet on the treatment options for your beloved pooch.
The main aim and ultimate goal would be for pain relief and good quality of life, so bear this in mind at all times. Treatment for hip dysplasia in dogs includes a combination of medication, physical therapy and, in some cases, surgery.
a) Surgery

If your puppy is diagnosed before six months of age, it will be a candidate for juvenile pubic symphysiodesis, a joint-saving procedure. This will prevent any long term effects of hip dysplasia and ensure a good quality of life for your pup.
Another option before ten months of age will be a procedure known as triple pelvic osteotomy.
Hip dysplasia in adult dogs can be treated with surgical procedures like femoral head osteotomies and total hip replacements.
Speak to your trusted vet for more details about the procedure, its benefits, long term care and, of course, its costs
b) Medication
This includes medication for pain relief and supplements for joint and muscle health.
Your vet will recommend painkillers that are safe for canines and given at regular intervals. These are usually Non-Steroidal Anti Inflammatory Drugs (NSAIDs) that help with inflammation in the joints. Do not purchase over the counter medication without a prescription and a proper treatment regimen.
Oral joint supplements that include glucosamine, chondroitin and omega fatty acids improve joint health.
In some cases, your vet might recommend injectables like glycosaminoglycans that are delivered directly into the affected joints.
Your vet will also advise you on specialised diets and prescription dog food that are joint-friendly.
c) Physical Therapy

Regular exercise and low to moderate impact workouts help with weight loss, leading to less pressure on joints and muscles. Acupuncture has been shown to increase muscle strength and joint mobility, and it also helps with pain relief.
Should I get my dog a hip replacement?
Once again, itâs a question that can only be answered after a long, thorough conversation with your trusted vet.
Many factors need to be taken into account. Sometimes surgery might be the âcheaperâ option as long term medical and physical therapy with a specialised diet could end up costing a lot more in the long run.
While the cost for hip surgery in Malaysia depends on the type of surgery and where you decide to have the surgery, do bear in mind that pet insurance might cover the cost of treating hip dysplasia (only if itâs trauma-related). But if itâs hereditary, then it canât be covered by pet insurance.
Check out oyen.my and fill in this quick questionnaire for a quick quote on a suitable policy for your large-breed pooch.
How long can a dog live with hip dysplasia?

With timely diagnosis and appropriate treatment, a dog with hip dysplasia can live out its best life till its old age. There should be no drop in its quality of life.
A regular visit to the vet at least twice yearly for a full physical will ensure long term joint and muscle health is maintained.
How to prevent hip dysplasia in dogs?
There is no known method to prevent hip dysplasia in dogs. As it can be a hereditary condition, large breed dogs prone to the condition should start taking joint supplements from the age of 3 months.
Monthly vet visits during these developmental months are crucial to ensure good joint and cartilage health.
Thatâs everything you need to know about hip dysplasia in dogs. Be sure to consult your vet if you think you might be dealing with this condition. While it might not be very common, early identification and treatment are crucial, be sure to identify the signs and get your pooch the help it needs ASAP.





